www.citify.eu
Išrašo laikas: 2026-04-29 21:57:15
Atnaujinta: 2026-03-17

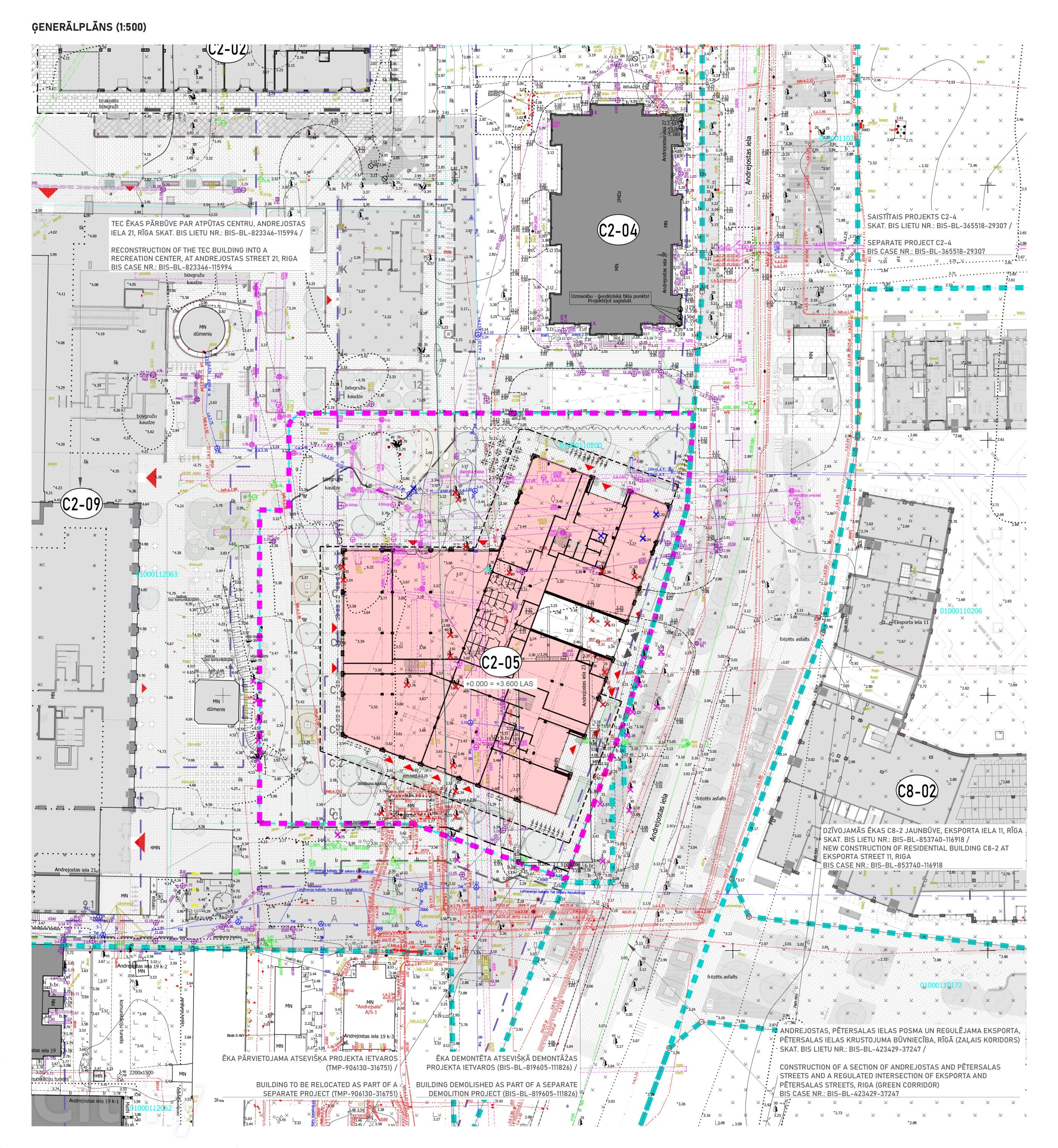
Riga Waterfront - "C2-05" ēka

Eksporta iela 3A, Pētersala-Andrejsala, Rīga

Daugiabutis • Kita komercija

-

Sertifikatas

-

Butų informacija

Pardavimai
Laisvi: 97 (100%) Rezervuoti: 0 (0%)Parduoti: 0 (0%)
Kiekis

97

Butų plotai

- m2

Kvadrato kaina

- €

Teritorija

Teritorijos dydis

- ha

Užstatymo tankumas

- %

Užstatymo intensyvumas

0.737

Užstatymo plotas

2 815,10 m2

Želdynų kiekis

41.3 %

Techniniai parametrai

Tūris

Bendras plotas

15 087,00 m2

Antžeminis plotas

Požeminis plotas

Naudingas plotas

Komercinės patalpos

1800 m2

Aukštų skaičius

9

Aukštis

31.95 m

Energetinė klasė

-

Požeminiai aukštai

1

Transportas

-

0

0

Paskutinis svarstymas

Detalusis planas
2026-04-02 16:00  -  2026-04-02 18:00
SIA “RIGA WATERFRONT DEVELOPMENT” birojā Eksporta ielā 3A
Dokumentai
Tai yra visuomenės aptarimui pateikti pasiūlymai ir gali skirtis nuo galutinių savivaldybės patvirtintų sprendinių

Peržiūrėti dokumentą Peržiūrėti dokumentą Peržiūrėti dokumentą Peržiūrėti dokumentą Peržiūrėti dokumentą

Informacijos šaltinis

Atidaryti


Susijusios įmonės

Reklama
Get full access with Citify Pro membership
From 30 Eur / month
Find business opportunities with full data access and functionality.

Vieta   Įterpti

Planuojamas Nauja statyba
Pradžia

-

Pabaiga

-

Etapai
Projekto numeris